Get Ants Extermination Service in Bartlett, IL
Ants Extermination Service providers in Bartlett, IL, and nearby areas address ant infestations, eliminate colonies, and handle residential and commercial ant control projects effectively.
This platform offers adjustable content depth for Ants Extermination Service information, allowing users to quickly access summaries or explore detailed insights. Sliders enable easy navigation between brief overviews and in-depth descriptions, helping users find the level of detail they prefer. The site connects individuals with local service providers in Bartlett, IL, and nearby areas, facilitating contact with trusted professionals for ant extermination needs.
Adjust sliders to customize your view - from quick overviews to detailed insights.
Detail: Standard
Ideas: 1
Costs: 1
Changes update in real-time for a personalized experience.
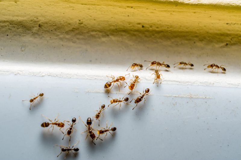
Ants extermination services in Bartlett, IL are essential for property owners seeking to maintain a comfortable and safe living or working environment. These professionals help eliminate ant infestations that can invade kitchens, basements, and outdoor spaces, preventing damage to structures and stored items. By addressing ant problems promptly, property owners can enjoy a more functional space free from the nuisance and potential health concerns associated with pests.
Choosing expert ant extermination also offers benefits like enhanced curb appeal and reduced ongoing maintenance. A pest-free property looks more inviting and well-maintained, which can be important for both residents and visitors. Additionally, effective pest control solutions contribute to the durability of property features by preventing damage caused by ants and other pests, ensuring long-term enjoyment and peace of mind.
- Ants Extermination - When ants invade kitchens or food storage areas in residences or businesses.
- Ants Extermination - If persistent ant trails are found around entry points or along walls in homes near Bartlett, IL.
- Ants Extermination - During infestations in commercial spaces where ants may contaminate products or disrupt operations.
- Ants Extermination - When outdoor ant colonies threaten garden plants or landscaping in nearby residential yards.
- Ants Extermination - If signs of ant activity appear in utility areas, such as basements or crawl spaces, requiring professional intervention.
Ants extermination services focus on identifying and eliminating ant infestations within residential, commercial, or industrial properties. Professionals typically conduct thorough inspections to locate ant colonies and entry points, then utilize targeted treatments to eradicate the pests. The process may involve the application of baits, sprays, or dusts designed to eliminate ants at different stages of their lifecycle, helping to prevent future invasions and restore a pest-free environment.
Ant problems can cause significant frustration, especially when ants invade kitchens, pantries, or dining areas, contaminating food and creating unsanitary conditions. In addition to food-related issues, large ant colonies can damage wooden structures or electrical wiring, leading to costly repairs. Exterminators help address these concerns by not only removing existing colonies but also implementing strategies to keep ants from returning, providing peace of mind for property owners.
Various types of properties benefit from ant extermination services, including single-family homes, apartment complexes, office buildings, restaurants, and retail stores. Homes with gardens or outdoor spaces are especially vulnerable, as ants often establish nests near food sources or moisture. Commercial properties, such as eateries or grocery stores, require prompt and effective treatment to maintain hygiene standards and prevent disruptions to daily operations.
Professional ant extermination services are essential for managing persistent or large-scale infestations that are difficult to control with DIY methods. Local service providers customize their approach based on the property type, extent of the problem, and specific ant species involved. Contacting experienced exterminators can help property owners resolve ant issues efficiently, ensuring a cleaner, safer, and more comfortable environment.
Discover typical Ants Extermination Service project ranges for Bartlett, IL.
Initial Inspection - The cost for an ant inspection typically ranges from $50 to $150, depending on the size of the property and the extent of the infestation. Some providers may charge a flat fee or include it with treatment services.
Basic Treatment - Standard ant extermination services usually cost between $150 and $300 for a single treatment. Larger or more severe infestations may require multiple visits, increasing the overall expense.
Preventive Measures - Applying preventive barrier treatments can cost from $200 to $400, depending on property size and complexity. These treatments aim to reduce future ant activity and may be part of ongoing service plans.
Recurring Service Plans - Monthly or quarterly pest control plans for ant management generally range from $40 to $70 per visit. The total cost varies based on the frequency of visits and the size of the treated area.
* These costs can vary by contractor and location and can be higher than displayed. Submit the form to get a more accurate quote for your actual needs.
When comparing ant extermination services in the Bartlett, IL area, homeowners should consider the experience of local professionals. An established provider often has a history of handling various ant infestations, demonstrating familiarity with common species and effective treatment methods. This experience can contribute to more efficient and targeted solutions, reducing the likelihood of recurring issues. Reviewing the background of local pros can help ensure that the selected service provider has the practical knowledge needed to address specific ant problems effectively.
Clear communication and written expectations are essential when choosing an ant extermination service. Reputable local providers typically outline their services in detail, including the scope of work, treatment methods, and any necessary preparations or follow-up steps. This transparency helps homeowners understand what to expect and ensures that there are no surprises during the process. Reliable communication also facilitates easy contact and prompt responses, making the entire experience more straightforward and less stressful.
Reputable references and a solid reputation are valuable indicators of a local pro’s reliability. Homeowners can seek recommendations from neighbors or review online references to gauge the quality of service. Local pros with positive feedback and consistent reviews are often more dependable, providing peace of mind that the extermination efforts will be handled professionally. When comparing options, it’s helpful to consider how well the service providers communicate, their written service details, and any references or testimonials that reflect their track record within the community.
Property owners in Bartlett, IL use Ants Extermination Service services for practical projects around their homes and businesses. The sections below highlight everyday jobs and straightforward project options.
Ants can quickly become a nuisance for property owners in Bartlett, IL, especially when they invade kitchens, pantries, or outdoor spaces. Common reasons for seeking ant extermination services include noticing persistent ant trails, finding colonies near foundations, or experiencing repeated ant sightings despite previous attempts to control them. Local service providers can help identify the source of the ant problem and implement effective solutions to keep these tiny pests from taking over the home or yard.
In addition to preventing an ongoing invasion, property owners might turn to ant extermination services after noticing ant activity around outdoor dining areas, flower beds, or near trash bins. These professionals can assess the situation, locate ant nests, and recommend appropriate treatments to eliminate colonies and prevent future issues. Addressing ant problems promptly can help maintain a clean, pest-free environment for both indoor and outdoor spaces.
Ants Extermination Techniques - Local service providers can utilize various methods such as baiting, dusting, and liquid treatments to target ant colonies effectively.
Identifying Ant Infestation Signs - Pros can assess property conditions to detect ant activity and determine the extent of the infestation.
Preventive Ant Control Tips - Service providers may offer advice on sealing entry points and eliminating attractants to reduce future ant problems.
Customized Ant Pest Solutions - Local experts can develop tailored treatment plans based on the specific ant species and property layout.
Ants Extermination services are essential for addressing ant infestations in residential and commercial properties. Local pros can identify ant species and implement targeted treatment plans to eliminate colonies effectively.
Ants Inspection and Identification involves assessing the extent of ant activity and determining the species involved. Professionals can provide accurate identification to guide appropriate extermination methods.
Ants Prevention Solutions focus on reducing the likelihood of future ant invasions through sealing entry points and removing attractants. Service providers offer advice and treatments to help maintain a pest-free environment.
Natural and Chemical Treatment Options are available to suit different property needs. Local exterminators can recommend and apply the most suitable methods for effective ant control.
Commercial Ants Control services cater to businesses experiencing ant problems, ensuring minimal disruption while effectively managing infestations. Experts tailor strategies to meet specific commercial property requirements.
Emergency Ants Extermination services are available for urgent situations requiring immediate attention. Local pros can respond promptly to address severe ant infestations and prevent further issues.
How do ant extermination services work? Ant extermination services typically involve inspecting the property, identifying ant species and entry points, and applying targeted treatments to eliminate colonies and prevent future infestations.
Are ant extermination treatments safe for pets and children? Most professional ant treatments are designed to be safe when applied by experienced service providers, but it is recommended to follow any specific safety instructions provided by the local pros.
How long does an ant extermination treatment last? The effectiveness duration varies depending on the treatment type and severity of the infestation, but many services offer ongoing prevention options.
Can ant extermination services prevent future ant problems? Yes, many services include preventative measures to reduce the likelihood of future ant invasions, such as sealing entry points and advising on sanitation practices.
How do I prepare my home for ant extermination services? Preparation may involve clearing treated areas, removing food and dishes, and following any specific instructions provided by the service provider to ensure effective treatment.
Dive into Ants Extermination Service options in Bartlett, IL. Customize with the explorer for your perfect view.

