Service Guide

Get Ants Extermination Service

Local contractors offer ant extermination services to eliminate infestations and protect residential or commercial properties from pest damage.

Ants can be a persistent nuisance for property owners in the area, making it important to consider professional extermination services. Whether dealing with an ongoing infestation or preventing future problems, choosing experienced local contractors can provide effective solutions tailored to your property’s needs. Exploring your options allows you to compare approaches and find a service provider that aligns with your priorities for maintaining a pest-free environment.

Property owners often seek ants extermination services to protect their homes and businesses from damage and discomfort. Proper planning and selecting the right local service providers can help ensure the job is handled efficiently and thoroughly. Keep reading to discover how local contractors can assist in addressing ant issues and maintaining a healthier space.

Get Ants Extermination Service Quotes

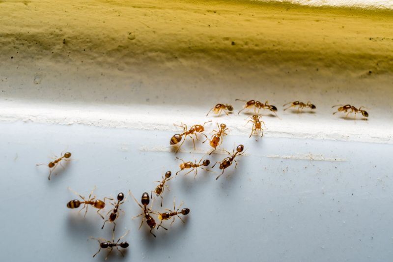
  • Ants Extermination - needed when ants invade kitchens or other indoor spaces.
  • Ant Colony Removal - required if large ant nests are found in yards or around the property.
  • Ant Prevention Services - useful for homeowners seeking to stop ant problems before they start.
  • Indoor Ant Control - necessary when ants have established a presence inside the home.
  • Outdoor Ant Treatment - appropriate for eliminating ants in garden beds or around outdoor living areas.
Ants Extermination Service
Ants Extermination Service
Ants Extermination Service

Ants extermination services involve a comprehensive approach to identifying and eliminating ant infestations within residential and commercial properties. Service providers typically conduct a thorough inspection to locate ant colonies and determine the species involved. Once the source is identified, they apply targeted treatments, such as baiting or residual insecticides, to effectively remove ants and prevent future invasions. This process ensures that the problem is addressed at its root, helping to restore comfort and hygiene to affected spaces.

Ant problems often stem from outdoor environments, such as gardens, lawns, or nearby woodpiles, which provide ideal nesting sites. Once ants find their way indoors, they can quickly become a nuisance, contaminating food, damaging structures, or simply creating an unsettling presence. Ant extermination services help homeowners and property managers solve these issues by eradicating the colonies and implementing strategies to reduce the likelihood of recurrence. This can include sealing entry points and advising on landscape modifications to discourage ant activity.

Various types of properties benefit from ant extermination services, including single-family homes, apartment complexes, restaurants, and retail stores. Homes are especially vulnerable when ants find food sources or entry points through cracks and gaps. Commercial properties, such as food establishments, require prompt and thorough treatment to maintain sanitation standards and prevent infestations from affecting business operations. Property managers overseeing multi-unit buildings also rely on these services to manage ant problems across common areas and individual units.

Homeowners typically seek ant extermination services when noticing visible ant trails, unexplained bites, or signs of nesting, such as small mounds or damaged wood. Early intervention can prevent minor issues from escalating into larger infestations. Service providers use proven methods to control and eliminate ants, helping to protect property value and maintain a comfortable living environment. Contacting local contractors for ant extermination ensures access to tailored solutions that suit the specific needs of each property.

The overview below groups typical Ants Extermination Service projects into broad ranges so you can see how smaller, mid-sized, and larger jobs often compare in your area.

In many markets, a large share of routine jobs stays in the lower and middle ranges, while only a smaller percentage of projects moves into the highest bands when the work is more complex or site conditions are harder than average.

Small Ant Infestations - Typically, local contractors charge between $250 and $600 for treating small ant colonies in single-family homes or kitchens. Many routine jobs fall within this middle range, with fewer projects reaching the higher end for larger or more stubborn infestations.

Moderate Infestations - For larger areas or more persistent ant problems, costs usually range from $600 to $1,200. These projects often involve multiple treatments or extensive perimeter work, which local pros handle regularly within this band.

Severe or Multiple Locations - Larger, more complex ant control projects can cost between $1,200 and $3,000, especially if multiple sites or structural treatments are needed. Such projects are less common but are handled by experienced service providers when required.

Full Property Extermination - Complete ant eradication for entire properties or commercial spaces can reach $3,000 or more. These larger-scale jobs are less frequent and typically involve comprehensive treatment plans managed by specialized local contractors.

Actual totals will depend on details like access to the work area, the scope of the project, and the materials selected, so use these as general starting points rather than exact figures.

Get a Quote

Pest Control for Cockroaches - local contractors use similar inspection and treatment techniques to identify and eliminate pests like ants, ensuring thorough eradication.

Termite Treatment Services - these projects require planning, specialized tools, and treatment methods comparable to ant extermination efforts.

Rodent Control Solutions - managing rodent issues involves pest identification, trapping, and prevention strategies akin to ant control services.

Spider Extermination Projects - spider control involves pest detection and targeted removal, sharing skills with ant extermination procedures.

Bed Bug Treatment Services - these projects involve inspection, treatment planning, and application techniques similar to those used in ant control.

Wildlife Removal Services - handling larger pests requires planning and tools comparable to those used in ant extermination projects.

Ants Extermination Service

When comparing local contractors for ant extermination services, it is important to consider their experience with similar projects. Homeowners should look for service providers who have a proven track record in effectively handling ant infestations in environments comparable to their own. This background can provide confidence that the contractor understands the specific challenges involved and has developed effective strategies to address them.

Clear written expectations are crucial when selecting a service provider. Homeowners should seek out professionals who can offer detailed descriptions of their approach, the scope of work, and what results can be reasonably expected. Having this information in writing helps ensure that both parties are aligned and reduces the likelihood of misunderstandings or unmet expectations.

Reputable references and good communication are also key factors in choosing a reliable contractor. Homeowners can ask for references from previous clients to gain insight into the quality of work and professionalism. Additionally, service providers who communicate clearly and promptly demonstrate a commitment to transparency and customer service. Keep in mind that the site serves as a resource to connect homeowners with local options, not as the entity performing the work itself.

Get an Ants Extermination Service Quote

Property owners use Ants Extermination Service services for practical projects around their homes and businesses. This guide focuses on everyday jobs and straightforward project options.

Ants Extermination Service
Ants Extermination Service

Ants can become a common nuisance for property owners dealing with everyday issues such as food contamination, property damage, or simply an unwanted presence in kitchens, basements, or outdoor spaces. Local contractors who specialize in ant extermination are often called upon when these pests invade homes or commercial properties, especially during warmer months or after heavy rains. These service providers are equipped to identify the source of the ant problem and implement effective solutions to remove the infestation and prevent future visits.

Property owners might seek out ant extermination services after noticing increased ant activity around their property or experiencing recurring infestations despite previous efforts. Whether it’s a small colony or a widespread invasion, local service providers can assess the situation and recommend appropriate treatment options. Engaging with experienced contractors ensures that ant problems are addressed promptly and efficiently, helping to restore comfort and protect the property from ongoing pest issues.

Get an Ants Extermination Service Quote

How do local contractors handle ant infestations? They typically assess the affected areas, identify ant species, and apply targeted treatments to eliminate colonies and prevent future invasions.

Are there specific types of ants that require special treatment? Yes, certain ant species like carpenter ants or fire ants may need specialized methods, which local service providers can determine and address effectively.

What methods do ants extermination services use? Common approaches include baiting, residual treatments, and barrier applications to effectively control and eliminate ant populations.

Can local contractors help with preventing ant re-infestation? Yes, they can advise on sanitation practices and implement treatments to reduce the likelihood of future ant problems.

What should be done before a professional ant extermination service arrives? It's recommended to keep affected areas clean and remove food sources to enhance treatment effectiveness.

Ants Prevention Tips - Property owners can learn practical ways to reduce ant attractants around their homes, such as managing food storage and eliminating moisture sources.

Inspection and Identification - Homeowners can understand how local contractors identify ant species and assess infestation levels to determine the best treatment approach.

Extermination Solutions - Property owners can explore different treatment options offered by local service providers to effectively eliminate ant colonies from their property.

Ongoing Monitoring - Homeowners can implement regular checks and maintenance practices recommended by local pros to prevent future ant problems.

Ants Extermination Service

If you are thinking about Ants Extermination Service for a property, this guide is meant to help you understand the work, the typical project types, and how different options might fit your plans.

When you are ready, you can use the quote form on this page to share a few details about your project. From there, local pros can review the basics and respond with options that match what you have in mind.

Get a Quote

Ants Extermination Quotes