Get Ants Extermination Service in Dayton, OH
Ants Extermination Service providers in Dayton, OH, address ant infestations, eliminate colonies, and handle residential and commercial ant control projects effectively.
The information below offers adjustable content depth for Ants Extermination Service services, allowing users to easily explore information at their preferred level of detail. Using simple sliders, visitors can quickly access concise summaries or delve into more comprehensive details about methods, treatment options, and considerations, helping them make informed decisions. The platform connects users with local service providers in Dayton, OH, and nearby areas, serving as a neutral resource to facilitate contact with trusted professionals.
Adjust sliders to customize your view - from quick overviews to detailed insights.
Detail: Standard
Ideas: 1
Costs: 1
Changes update in real-time for a personalized experience.
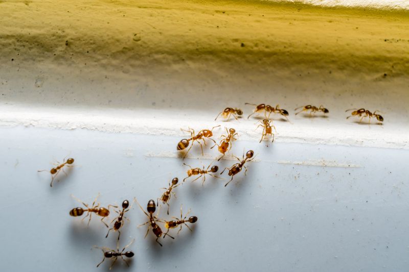
Ants extermination services provide property owners in Dayton, OH with a practical solution to keep their homes and businesses free from these persistent pests. Ant invasions can threaten the comfort and safety of a space, making it essential to address the issue promptly. Professional exterminators use targeted methods to eliminate ant colonies, helping to restore functionality and peace of mind. This work also supports property durability by preventing damage that ants and their nests can cause to structures and wiring, reducing the need for frequent repairs and maintenance.
Beyond pest control, ant extermination enhances curb appeal by maintaining a clean and well-kept exterior. A property free of ant mounds and trails looks more inviting and well-maintained, which can be especially important for homeowners and business owners alike. Choosing experienced local service providers ensures effective treatment that delivers lasting results, allowing property owners to enjoy a safer, more comfortable, and visually appealing environment.
- Ants Extermination - Needed when ants invade kitchens or other indoor spaces in Dayton, OH and surrounding areas.
- Ants Extermination - Required for property owners dealing with large ant colonies in yards or gardens near Cincinnati, OH.
- Ants Extermination - Suitable when ants are found in commercial buildings or restaurants in the Columbus, OH region.
- Ants Extermination - Necessary for homes experiencing persistent ant issues despite initial treatments in Cleveland, OH and nearby communities.
- Ants Extermination - Used when ants are entering through cracks or gaps in foundations in Akron, OH and neighboring locations.
Ants extermination services involve identifying and eliminating ant colonies that have taken up residence within or around a property. Professionals use targeted treatments to remove visible ants and address the root of the infestation, which often includes treating entry points, nests, and surrounding areas. The goal is to reduce ant activity and prevent future invasions, helping property owners regain control over their indoor and outdoor spaces.
Ant infestations can lead to various problems, including damage to structures, contamination of food supplies, and general discomfort. Certain species, such as carpenter ants, are known to cause structural damage by burrowing into wood, while others can become a nuisance by invading kitchens, pantries, or outdoor dining areas. Exterminators focus on eradicating these pests efficiently to minimize disruption and protect the property’s integrity.
Both residential and commercial properties frequently seek ant extermination services. Homes, especially those with gardens or near wooded areas, often encounter ant problems that require professional intervention. Commercial spaces like restaurants, grocery stores, and food processing facilities also benefit from regular pest control to maintain hygiene standards and prevent infestations that could impact business operations.
Professional ant extermination services typically include a thorough inspection to locate the source of the problem, followed by customized treatment plans using various pest control methods. These services aim to provide long-term relief from ant invasions, ensuring properties remain ant-free and comfortable for occupants. Contacting local pest control providers can help determine the most effective approach for specific property needs.
Discover typical Ants Extermination Service project ranges for Dayton, OH.
Initial Inspection - The cost for a comprehensive ant inspection typically ranges from $100 to $250, depending on property size and infestation severity. This fee covers identifying ant species and problem areas.
Basic Treatment - A standard treatment for small to medium infestations generally costs between $150 and $300. This includes applying targeted baits and insecticides around affected areas.
Advanced Extermination - For extensive or stubborn ant problems, prices often range from $300 to $600. Multiple visits and specialized treatments may be involved for effective eradication.
Ongoing Maintenance - Regular monitoring and preventative services can cost approximately $50 to $150 per visit. These services help prevent future ant invasions and maintain control over time.
* These costs can vary by contractor and location and can be higher than displayed. Submit the form to get a more accurate quote for your actual needs.
When selecting a professional for ant extermination services, experience is a key factor to consider. Local providers often have extensive knowledge of ant species common to Dayton, OH, and surrounding areas, which can lead to more effective treatment strategies. Comparing how long each service provider has been operating can give insight into their familiarity with local ant issues and the methods they typically employ. This background can help homeowners identify professionals who are well-versed in handling ant infestations specific to the region.
Clear communication and well-defined expectations are vital when working with a pest control service. Reputable local pros typically outline their approach, what homeowners can expect during the treatment process, and any necessary follow-up steps. Ensuring that the service provider is transparent about their procedures helps establish trust and reduces surprises. Homeowners should look for providers who are willing to answer questions and provide detailed information about their methods, which can contribute to a smoother experience.
Reputation and references are important indicators of a reliable ant extermination service. Local providers with positive references often demonstrate a history of satisfied customers and successful treatments. While direct reviews may not always be available on the lead-generation platform, seeking out references or testimonials from previous clients can offer valuable insights. Additionally, a service provider’s reputation for good communication and professionalism can be a sign of their commitment to customer service, making it easier for homeowners to feel confident in their choice of local experts.
Property owners in Dayton, OH use Ants Extermination Service services for practical projects around their homes and businesses. The sections below highlight everyday jobs and straightforward project options.
Ants can quickly become a nuisance for property owners in Dayton, OH, especially when they invade kitchens, pantries, or outdoor spaces. Common reasons for seeking ant extermination services include noticing trails of ants along walls, finding them in food storage areas, or discovering large colonies nesting in lawns or beneath concrete slabs. Whether preparing for a backyard gathering or simply wanting to keep the home comfortable, many locals turn to experienced service providers to address these unwelcome visitors effectively.
In addition to typical indoor infestations, outdoor ant problems are also a concern for Dayton residents. Properties with garden beds, mulch, or cracks in the foundation may attract ants seeking shelter and food. Homeowners and property managers often look for professional assistance to eliminate colonies and prevent future invasions, especially when ants threaten plants or become a persistent annoyance. Connecting with local experts can help ensure the right solutions are implemented to keep ant populations in check.
Ants Extermination Techniques - Local service providers utilize a variety of methods, including baiting and targeted treatments, to effectively eliminate ant colonies.
Identifying Ant Infestation Signs - Pros can assess property conditions to detect early signs of ant activity and recommend appropriate treatment options.
Preventive Ant Control Tips - Experts offer advice on reducing attractants and sealing entry points to help prevent future ant invasions.
Choosing a Local Ant Exterminator - Contacting experienced professionals ensures tailored solutions for ant problems based on specific property needs.
Ants Extermination - Local pest control providers offer targeted ant extermination services to eliminate infestations and prevent future problems.
Ants Prevention - Service providers can implement strategies to deter ants from entering homes and commercial properties, reducing the risk of re-infestation.
Residential Ant Control - Professionals specialize in treating homes to remove ant colonies and safeguard living spaces from ongoing pest issues.
Commercial Ant Management - Commercial pest control providers deliver ant extermination services tailored to business environments, ensuring minimal disruption.
Eco-Friendly Ant Treatments - Local pros may utilize environmentally conscious methods to control ant populations while minimizing chemical use.
Ant Infestation Inspection - Experts conduct thorough inspections to identify ant nesting sites and recommend effective treatment options.
How do ant extermination services work? Ant extermination services typically involve inspecting the affected area, identifying ant species and entry points, and applying targeted treatments to eliminate colonies and prevent future infestations.
Are ant extermination treatments safe for pets and children? Most professional ant treatments are designed to be safe when applied properly; it is advisable to discuss any concerns with the service provider before treatment.
How long does an ant extermination treatment usually last? The effectiveness duration can vary depending on the treatment method and severity of the infestation; local pros can provide guidance based on specific situations.
Will I need multiple treatments to control an ant problem? Some ant infestations may require more than one treatment to fully eliminate colonies and prevent re-infestation, depending on the extent of the problem.
How can I prevent future ant problems after treatment? Preventative measures include sealing entry points, maintaining cleanliness, and consulting with local pros for ongoing pest management strategies.
Dive into Ants Extermination Service options in Dayton, OH. Customize with the explorer for your perfect view.

