Get Ants Extermination Service in Riverton, UT
Ants Extermination Service providers in Riverton, UT, and nearby areas handle ant infestations, nest removal, and prevention for residential and commercial properties.
The information below offers adjustable content depth for Ants Extermination Service information, allowing users to explore quick summaries or delve into more detailed explanations. Using simple sliders, visitors can easily control the amount of information displayed, making it convenient to find the level of detail they prefer. The platform connects users with local service providers in Riverton, UT and nearby areas, helping to facilitate the process of finding professional ant extermination assistance without performing the work directly.
Adjust sliders to customize your view - from quick overviews to detailed insights.
Detail: Standard
Ideas: 1
Costs: 1
Changes update in real-time for a personalized experience.
Ants extermination services in Riverton, UT offer property owners a reliable way to maintain a comfortable and safe living environment. By effectively managing ant populations, homeowners can reduce the risk of infestations that may cause damage to structures, contaminate food supplies, or create an uncomfortable atmosphere. These services help ensure that outdoor and indoor spaces remain functional and inviting, allowing residents to enjoy their homes without the nuisance of persistent ant activity.
Choosing professional ant extermination also provides benefits such as enhanced curb appeal and reduced ongoing maintenance. A property free from visible ant trails and nests looks well cared for, boosting its overall appearance. Additionally, targeted treatments can lead to longer-lasting results, decreasing the need for frequent interventions and preserving the durability of the property’s exterior and interior features. This proactive approach supports a more enjoyable, worry-free living space for Riverton residents.
- Ants Extermination Services are recommended when indoor or outdoor ant infestations are detected in residential or commercial properties.
- These services are suitable for addressing ant problems in homes, restaurants, or office buildings in Riverton, UT, and surrounding areas.
- Ant control treatments are often needed when ants invade kitchens, pantry areas, or other spaces where food is stored or prepared.
- Professional extermination is advised if ant colonies are found in yards, gardens, or near building foundations.
- Contact local pest control providers to assess and implement effective ant management solutions for affected properties.
Ants extermination services focus on identifying and eliminating ant infestations that can invade homes, businesses, and other properties. These services typically involve thorough inspections to locate ant colonies and entry points, followed by targeted treatments to eradicate the pests. Professionals may use a combination of baiting, dusting, and residual sprays to ensure ants are effectively eliminated and prevented from returning. The goal is to create a pest-free environment while addressing the specific species and severity of the infestation.
Ant problems can cause a variety of issues for property owners, from minor nuisances to significant structural concerns. Ant colonies can invade kitchens, pantries, and other areas where food is stored, leading to contamination and hygiene concerns. In some cases, certain ant species, such as fire ants, pose health risks due to their painful stings and aggressive behavior. Additionally, large colonies can damage plants or interfere with daily activities, making professional extermination an important step in managing these pests.
Ant extermination services are commonly used on residential properties, including single-family homes and apartment complexes. Commercial properties like restaurants, grocery stores, and food processing facilities also frequently require ant control to maintain sanitation standards and comply with health regulations. Additionally, property managers and landlords often seek these services to protect their investments and ensure a comfortable environment for tenants and visitors.
Engaging with local pest control providers ensures that ant problems are addressed efficiently and safely. These professionals have experience in handling various ant species and infestations, offering customized solutions based on the property type and severity of the issue. Whether dealing with a small nuisance or a large-scale invasion, property owners can contact local experts to help restore a pest-free space and prevent future ant issues.
Discover typical Ants Extermination Service project ranges for Riverton, UT.
Initial Inspection Cost - The cost for an initial ant inspection typically ranges from $50 to $150, depending on property size and complexity. Some providers may include this fee within treatment costs if service is scheduled.
Basic Treatment Services - Standard ant extermination treatments usually cost between $100 and $300 for most residential properties. Larger or heavily infested areas may incur costs up to $500.
Per-Visit Fees - Many service providers charge per visit, with prices generally falling between $75 and $200. Multiple visits or ongoing treatments can increase the total cost.
Comprehensive Pest Control Packages - Full pest control services that include ant extermination often range from $250 to $600, depending on the extent of the infestation and the size of the property. These packages may include follow-up visits and preventative treatments.
* These costs can vary by contractor and location and can be higher than displayed. Submit the form to get a more accurate quote for your actual needs.
When evaluating ant extermination services in Riverton, UT, homeowners can consider the experience level of local service providers. Many pros have established reputations within the community, often backed by years of handling similar pest issues. A seasoned professional typically understands the unique ant challenges specific to the area and can offer insights into effective treatment methods. By reviewing the background of local providers, homeowners can gain confidence in their ability to address ant problems efficiently and thoroughly.
Clear communication and well-defined expectations are important when selecting an ant extermination service. Reputable local pros usually provide detailed information about their process, what homeowners can expect during treatment, and any necessary preparations. Transparent communication helps ensure that homeowners understand the scope of work and feel comfortable throughout the service. It’s also beneficial to inquire about how the provider handles follow-up or ongoing prevention measures, contributing to a smoother experience.
References and reputation play a key role in choosing a reliable ant extermination provider. Homeowners are encouraged to seek out local pros with positive references from previous clients in Riverton and nearby communities. These references can offer insights into the provider’s professionalism, effectiveness, and communication style. When comparing options, considering the reputation of each service provider can help homeowners select a trusted local expert who is known for delivering quality results and maintaining clear, responsive communication throughout the process.
Property owners in Riverton, UT use Ants Extermination Service services for practical projects around their homes and businesses. The sections below highlight everyday jobs and straightforward project options.
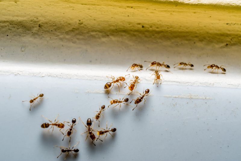
Ants can quickly become a nuisance for property owners in Riverton, UT, especially when they invade kitchens, pantries, or outdoor spaces. Whether it’s a small trail of ants marching across the countertop or a larger infestation in the yard, many residents seek professional ant extermination services to restore comfort and cleanliness. Local service providers can help identify the source of the problem and implement targeted solutions to keep these tiny invaders at bay.
In addition to kitchen invasions, ants may nest in lawns, garden beds, or beneath the foundation, making it important to address the issue promptly. Property owners often look for expert assistance to eliminate the colony and prevent future outbreaks, ensuring their homes and outdoor areas remain ant-free. Connecting with local pros can provide effective, tailored treatments to suit the specific needs of Riverton homes.
Ants Identification and Prevention - Local pest control providers can assess ant activity and recommend effective prevention strategies to reduce future infestations.
Professional Ant Extermination - Experienced service providers utilize targeted treatments to eliminate ant colonies and minimize disruption to your property.
Ongoing Pest Management - Regular maintenance plans are available to help keep ants and other pests from returning over time.
Customized Pest Control Solutions - Service providers can tailor ant control methods to suit specific property types and infestation levels.
Ants Extermination services connect property owners with local pest control professionals experienced in eliminating ant infestations. These experts assess the extent of the ant problem and recommend appropriate treatment options.
Residential Ants Control providers specialize in addressing ant issues in homes, offering targeted solutions to protect living spaces from recurring infestations. They focus on safe and effective methods suitable for household environments.
Commercial Ants Removal services link businesses with specialists capable of managing ant problems in commercial properties, ensuring minimal disruption to operations. These providers develop tailored strategies to handle larger-scale infestations.
Outdoor Ants Treatment professionals focus on eliminating ants from yards, gardens, and outdoor structures, preventing them from entering indoor spaces. Their treatments aim to create long-term outdoor barriers against ant colonies.
Emergency Ants Extermination services connect clients with providers available for urgent ant infestation issues that require immediate attention. These experts respond promptly to reduce ant activity quickly.
Natural Ants Control Solutions specialists offer eco-friendly and chemical-free options for those seeking alternative pest management methods. They provide advice and treatments aligned with non-toxic practices for ant eradication.
How do ant extermination services work? Ant extermination services typically involve inspecting the property to identify ant activity and nests, then applying targeted treatments to eliminate the colonies and prevent future infestations.
Are ant treatments safe for pets and children? Most professional ant treatments are designed to be safe when applied properly; however, it’s recommended to follow any specific safety instructions provided by the service provider.
How long does an ant extermination treatment last? The duration of effectiveness varies depending on the treatment method and the severity of the infestation, but many services offer ongoing prevention options.
What types of ants can be treated? Professional extermination services can address common household ants such as odorous house ants, pavement ants, and carpenter ants, among others.
How can I prevent future ant problems? Preventative measures include sealing entry points, maintaining clean surroundings, and scheduling regular inspections with local pest control providers.
Dive into Ants Extermination Service options in Riverton, UT. Customize with the explorer for your perfect view.

